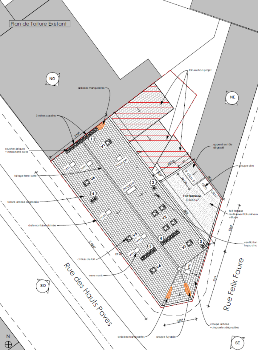
RÉFECTION DES TOITURES ET SOUCHES DE CHEMINÉES
à Nantes (44)
Architecte : Atelier B - Quentin Brosseau
Client : Privé
Localisation : Nantes (44)
Programme : Réfection des toitures et souches de cheminées à Nantes
Surface plancher : N.C.
Mission : Réfection des toitures et souches de cheminées

